Meteodisplej
Úvodná stránka
Počasie Bratislava
Meteoradar
Dažďový radar
Teplotný radar
Veterný radar
Bleskradar
Správy o počasí
Zaujímavosti
Sprievodca aplikáciou
Widget počasie
Kontakt
Aplikácie
Úvodná stránka / Zaujímavosti o počasí /

Nakoľko aktívna bude?: Začína sa sezóna atlantických hurikánov

12:00
3. júna 2025

Nakoľko aktívna bude?
Začína sa sezóna atlantických hurikánov

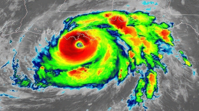
Tropická búrka nad Atlantikom. Ilustračné foto - © NASA

Nad vodami Atlantického oceánu sa práve v nedeľu 1. júna 2025 oficiálne začala každoročná sezóna tropických búrok, resp. hurikánov. Aké sú predpoklady na jej aktivitu?

Podľa viacročného priemeru vychádza, že do konca novembra 2025 by sa malo zrodiť 14 pomenovaných cyklónov vrátane siedmich hurikánov. Je predpoklad, že aspoň 3 zo 7 hurikánov získajú aspoň tretiu kategóriu na päťstupňovej škále.

Švajčiarsku obec zrovnalo so zemouNeprehliadnite

Americkí meteorológovia celkovo predpovedajú veľmi aktívnu sezónu, a to aktívnejšiu, než hovorí dlhodobý priemer. Podľa NOAA sa zrodí dokopy za celú sezónu (ktorá trvá do konca novembra) 13 až 19 cyklón. Z toho pôjde šesť až desať hurikánov, z ktorých tri až päť sa bude považovať za silné. Cyklóny zasiahnu najpravdepodobnejšie oblasť karibských ostrovov a krajiny kontinentálnej Severnej a Strednej Ameriky vrátane južného a východného pobrežia USA.

Očakáva sa teda, že hurikánová sezóna 2025 bude silnejšia ako priemer, za čím stoja najmä extrémne teplé, resp. rekordne teplé vody svetového oceánu, vrátane Atlantického oceánu. Hurikány v Atlantiku, resp. každé iné tropické cyklóny (tajfúny, medikány) nám spolu s klimatickou zmenou každoročne demonštrujú obrovskú silu prírody.

V Oklahome sa vyskytol heat burstNeprehliadnite
Ján Krempaský
Viac k téme
sobota 29. novembra 2025

Fenomén Lake efekt

Silné snehové "búrky" na severe USA
Rozdelený obrázok. Vľavo Tatranská Lomnica s omrazenými stromami inoväťou a obrázkom teplomera s nízkou teplotou vľavo dole. Vpravo Skalnaté pleso s teplomerom s vysokou teplotou. Medzi nimi napísané slovom 14 °C a šípka smerujúca zľava do prava.
streda 17. decembra 2025

Inverzia šokuje

Vysoké Tatry: 14 °C rozdiel na 5 km
Obrázok zimnej zasneženej krajiny v Smižanoch (okr. Spišská Nová Ves)
streda 26. novembra 2025

Fotografie od vás

Predčasná novembrová zima v obrazoch
Všetky správy o počasí
Mohlo by vás tiež zaujímať
Vyznačenie miesta, kde sa v aplikácii dajú posielať fotografie snehu, v pozadí zasnežená krajina
sobota 22. novembra 2025

Tu na nich čakáme

Pošlite nám vaše zasnežené fotky!
štvrtok 19. júna 2025

Poškodené kempy

Istriou sa prehnali silné búrky
Koláž štyroch obrázkov. Vľavo hore - mapa sucha z 29. júna 2025, vpravo hore dažďový radar, vľavo dole teplotný radar so zobrazením rozdielu teplôt, vpravo dole tepotný radar s vysokými horúcimi teplotami.
sobota 3. januára 2026

Pokračovanie sumáru

Top 10 meteoudalostí roku 2025 – časť 2
Všetky príspevky
Počasie & Radar
SK
Clima & Radar Brasil
Hava durumu & Radar Türkiye
Időjárás és Radar Magyarország
Καιρός & Ραντάρ Ελλάδα
Météo & Radar Belgique (Français)
Météo & Radar France
Meteo & Radar Italia
Meteo & Radar România
Météo & Radar Suisse (Français)
Meteo & Radars Latvija
OrasOnline Lietuva
Počasí & Radar Czechia
Pogoda & Radar Polska
Погода & Радар Україна (українська)
Tempo & Radar Portugal
Tiempo & Radar Argentina
Tiempo & Radar España
Vejr & Radar Danmark
Vreme & Radar Slovenija
Vreme & Radar Srbija
Vrijeme & Radar Bosna
Vrijeme & Radar Crna Gora
Vrijeme & Radar Hrvatska
Време & Радар България
Времето & Радар Macedonia
Weather & Radar India (English)
Weather & Radar Ireland
Weather & Radar United Kingdom
Weather & Radar USA (English)
Weather & Radar USA (Español)
Weer & Radar België (Nederlands)
Weer & Radar Nederland

Počasie & Radar je k dispozícii aj na

Google Play StoreApp Store

O nás

Kontakt Ochrana údajov Impressum Vyhlásenie o prístupnosti

Naše služby

Uploader fotografií

Sociálne siete

facebookinstagramthreads